
常见的病害有锈病、赤霉病、白粉病、叶枯病等,常见的虫害有蚜虫、吸浆虫、麦蜘蛛等。
小麦锈病:用20%粉锈宁进行拌种,或亩用0.5公斤65%代森锌可湿性粉剂兑水250-300公斤,然后做喷雾处理。
小麦赤霉病:种植抗病品种,适当早播,播种前用75%萎锈灵进行拌种。
小麦白粉病:控制种植密度,合理施肥,播种前用15%粉锈宁可湿性粉剂进行拌种......
一、小麦锈病
1、发病症状
(1)发病初期,叶片或麦秆表面出现褪绿斑点,之后长出黄色或红褐色的粉疱,即夏孢子堆。
(2)发病后期,病部长出黑色的疱斑(条锈、叶锈)或粉疱(秆锈),即冬孢子堆。
(3)染病植株的叶片早衰,光合作用降低,水分大量流失,籽粒的饱满度和灌浆程度下降,严重影响到小麦的产量。

2、防治方法
(1)选用抗病品种,比如鲁麦21、烟农19、烟农23等抗锈丰产良种。
(2)合理施肥,不可过量使用氮肥,避免小麦贪青晚熟。
(3)用20%粉锈宁进行拌种,药物用量为种子重量的0.2%,拌种后经过6-8小时再播种。
(4)亩用65%代森锌可湿性粉剂0.5公斤兑水250-300公斤,然后进行喷雾;或亩用60-80克15%三唑酮可湿性粉剂兑水喷雾。
(5)喷施25%多菌灵可湿性粉剂500倍液,或50%甲基托布津可湿性粉剂800倍液,或25%粉锈宁可湿性粉剂1500-2000倍液。

二、小麦赤霉病
1、发病症状
(1)苗腐:先是芽变褐,随后根冠腐烂。轻者病苗黄瘦,重者幼苗死亡。手拔病株时,容易从腐烂处拉断,断口呈褐色,且带有黏性的腐烂组织。
(2)茎基腐:幼苗从出土至成熟均可发生,麦株基部组织受害后会变褐腐烂,导致全株枯死。
(3)秆腐:多发生在穗下第一、二节,初在叶鞘上出现水渍状褪绿斑,后扩展为淡褐色至红褐色不规则形斑,病斑也可向茎内扩展。病情严重时,病部以上呈枯黄状,有时无法抽穗,或抽出枯黄穗。
(4)穗腐:发生初期,小穗和颖片上出现水渍状淡褐色病斑,后逐渐扩大至整个小穗,导致小穗枯黄。湿度较大时,病斑处产生粉红色胶状霉层。后期病斑上密生小黑点,即子囊壳。后扩展至穗轴,病部枯褐,使被害部以上的小穗形成枯白穗。

2、防治方法
(1)种植抗病品种,比如扬麦4号、扬麦18号、淮麦20、徐麦856等。
(2)适当早播,播种前需深耕灭茬,清洁田园,以减少和控制病菌来源。
(3)控制氮肥的用量,增施磷钾肥,以增强植株的抗性。
(4)用75%萎锈灵250克拌麦种100公斤,或用50%多菌灵可湿性粉剂150克拌麦种100公斤。
(5)用20%克福种衣剂进行包衣,药物和种子的比例为1:50;或用2.5%咯菌腈种子剂拌种,药物和种子的比例为1:500。
(6)小麦抽穗期,亩用40%戊唑·福美双可湿性粉剂80克(或28%烯肟菌酯·多菌灵可湿性粉剂70克,或28%井岗霉素·多菌灵悬浮剂110毫升,或30%多·酮可湿性粉剂110克,或10%井冈·蜡芽菌悬浮剂230毫升)兑水50-60公斤,然后进行全田喷雾。
(7)小麦扬花初期,亩用40%多菌灵·三唑酮·福美双可湿性粉剂80克(或70%福·甲硫磺可湿性粉剂130克,或50%福美双可湿性粉剂150克,或多菌灵·福美双·硫磺可湿性粉剂250克,或50%硫磺·多菌灵悬浮剂125克,或70%甲基硫菌灵可湿性粉剂80克)兑水50-60公斤,然后进行全田喷雾。
(8)病情比较严重时,可在小麦灌浆初期亩用25%氰烯菌腈悬浮剂110毫升(或25%咪鲜胺乳油55毫升,或25%戊唑醇乳油80克,或25%丙环唑乳油40毫升,或12.5%烯唑醇可湿性粉剂50克)兑水50-60公斤,然后进行全田喷雾。

三、小麦白粉病
1、发病症状
(1)主要发生在叶片上,也会发生在叶鞘、茎秆和穗部。叶片正面的病斑数量一般多于叶背,下部叶片的受害情况比上部叶片更严重。
(2)叶面出现1-2毫米的白色霉点,后逐渐扩大为近圆形至椭圆形白色霉斑,霉斑表面有一层白粉状霉层,逐渐扩大并相互联合,呈长椭圆形。
(3)病情严重时,小麦植株弱小,不抽穗或抽出的穗较短小,较大的霉斑可覆盖叶片大部,甚至全部,霉层厚度可达2毫米左右,并逐渐呈粉状,白粉遇有外力或振动立即飞散。
(4)后期霉层逐渐由白色变为灰白色至浅褐色,上生针头大小黑色小颗粒,是病菌的闭囊壳。霉层下的叶片组织初期无明显变化,随后褪绿、发黄以至枯死。

2、防治方法
(1)种植抗病品种,比如中麦2号、中育4号、豫麦9号、北农9号、郑州831、郑州8915等。
(2)控制密度,合理施肥,避免偏施氮肥,以防引起植株徒长。
(3)播种前,用15%粉锈宁可湿性粉剂进行拌种(每50公斤麦种使用150克药物),或用25%三唑酮可湿性粉剂拌种(药物用量为种子重量的0.15%)。
(4)当田间的病叶率超过10%时,喷施25%三唑酮乳油1000倍液,或16%粉锈宁可湿性粉剂1000倍液,或50%多菌灵可湿性粉剂1000倍液,或70%甲基托布津1000倍液,或50%甲基硫菌灵可湿性粉剂1000倍液,或波美0.5-0.8度石硫合剂,每隔7-10天喷1次,连续喷施2次。

四、小麦叶枯病
1、发病症状
(1)主要为害小麦叶片和叶鞘,有时也为害茎秆及穗部,症状取决于环境条件。
(2)一般在小麦拔节至抽穗期开始发病,于叶脉间最初出现淡绿色至黄色纺锤形病斑,以后逐渐扩展并相互愈合成不规则形淡褐色大斑块,上面散生黑色小点,即病菌的分生孢子器。
(3)有时病斑呈黄色并连成条纹状,叶脉为黄绿色,乍看似如小麦黄矮病,但其条纹边缘为波浪形,且贯通全叶。严重时黄叶部分呈水渍状长条,并左右扩展,使叶片变成枯白色,上生小黑点(分生孢子器)。
(4)病叶一般从下部叶片开始向上发展,病斑从叶鞘向茎秆部扩展,并侵染穗部颖壳使其变为枯白色。病叶有时很快变黄、变薄、下垂,但不很快枯死。有的病叶病斑不大,但叶尖全部干枯,而后逐渐扩展。

2、防治方法
(1)选用抗病品种,种植前深翻灭茬,清除田间的病株残体,并集中烧毁。
(2)适时晚播,施足底肥,及时追肥,增施磷钾肥,控制灌水量或次数,以增强植株抗病力.
(3)控制田间群体密度,改善通风透光条件,忌大水漫灌。
(4)对于病重地,实行3年以上轮作。
(5)用50%多福混合粉(25%多菌灵+25%福美双)500倍液浸种48小时,然后再播种;或用25%三唑酮(粉锈宁)可湿性粉剂75克拌麦种100公斤,闷种数小时后再播种。
(6)对于重病区,可在小麦分蘖前期亩70%代森锰锌可湿性粉剂143克(或75%百菌清可湿性粉剂15克)兑水50-75升,然后进行喷雾,或喷施65%代森锌可湿性粉剂1000倍液,或喷施1:1:140波尔多液,每隔7-10天喷1次,连续喷施2-3次。

五、小麦纹枯病
1、发病症状
(1)烂芽:在小麦出苗期芽鞘变褐,然后麦芽枯死腐烂,不能出土。
(2)病苗死苗:多发生在小麦3-4叶期,初期第一个叶鞘上呈现中央灰白、边缘褐色的云纹病斑,后因抽不出新叶而导致死苗。
(3)花秆烂茎:返青拔节后,基部叶鞘产生中部灰白色、边缘浅褐色的病斑,多个病斑相连接,形成云纹状的花秆。湿度大时,病叶鞘内侧及茎秆上可见蛛丝状白色的菌丝体,以及黄褐色的菌核。
(4)倒伏:由于茎部发病严重、腐烂,后期极易造成倒伏。
(5)枯株白穗:后期发病严重的主茎和大分蘖常抽不出穗,形成“枯孕穗”;有的虽能够抽穗,但结实减少,籽粒秕瘦,形成“枯白穗”。

2、防治方法
(1)用33%井冈·蜡芽可湿性粉剂拌种,药物用量为种子重量的0.2%;或用25%三唑醇拌种,药物用量为种子重量的0.1%。
(2)麦苗返青期,喷施33%井冈·蜡芽可湿性粉剂300倍液,或5%井冈霉素水剂500倍液,或50%甲基立枯灵300倍液,重点喷施麦株下方的发病部位。

六、小麦黑穗病
1、小麦腥黑穗病
(1)发病症状
①病株严重矮化,株高只有健壮株的一半左右,个别小蘖感病后紧贴地面,高度不足15厘米。
②分蘖增多,病穗较短,直立,颜色比健穗更深,开始为灰绿色,之后变为灰白色,颖壳略向外张开,露出部分病粒。
③病粒比健粒更为短肥,初为暗绿色,最后变成灰白色,外面包有一层灰褐色薄膜,里面充满黑粉,并有鱼腥味。

(2)防治方法
①选用抗病、耐病品种作为种植对象,避免从病区引种。
②在发病田块改种其他作物,与蔬菜、土豆、油菜等作物实行3-5年轮作。
③对连作麦田进行土壤处理,亩用1-1.5公斤70%甲基硫菌灵可湿性粉剂(或50%多菌灵可湿性粉剂)拌细土45-50公斤,均匀撒在地面,然后翻耕入土。

2、小麦散黑穗病
(1)发病症状
①发病初期,病穗外面包有一层灰白色薄膜,病穗尖端露出苞叶时,即有黑粉散出。病穗上的小穗几乎全部被毁,一株发病,主茎和所有分蘖都出现病穗。
②所有小穗的子房、种皮及颖片均成为黑色粉末,被侵害的子房和颖片发育成冬孢子堆。
③病穗抽穗时,薄膜破裂,孢子随风飞散,病穗只残留穗轴,在穗轴的节部还可以见到残余的黑粉。后期的病穗仅残留曲折的穗轴。

(2)防治方法
①药剂拌种:播种前,用25%粉锈宁可湿性粉剂按种子质量的0.2%拌种,或用6%立克秀悬浮种衣剂按种子质量的0.03-0.05%拌种。
②温汤浸种:先将麦种放在冷水中浸泡4小时,随即投入55℃的温水中浸泡24小时,取出晒干后再播种。
③变温浸种:先将麦种放在冷水中浸泡4-6小时,再放入49℃的热水中浸泡1分钟,随后放到54℃的热水中浸泡10分钟,取出后迅速放入冷水中,冷却后捞出晾干,最后即可播种。

七、小麦根腐病
1、发病症状
(1)小麦全生育期均可引起发病,苗期引起根腐,成株期引起叶斑、穗腐或黑胚。
(2)种子带菌严重的不能发芽,轻者能发芽,但幼芽脱离种皮后即死在土中,有的虽能发芽出苗,但生长细弱。
(3)幼苗染病后在芽鞘上产生黄褐色至褐黑色梭形斑,边缘清晰,中间稍褪色,扩展后引起种根基部、根间、分蘖节和茎基部褐变,病组织逐渐坏死,上生黑色霉状物,然后根系朽腐,麦苗平铺在地上,下部叶片变黄,逐渐黄枯而亡。
(4)成株期染病叶片上出现梭形小褐斑,后扩展为长椭圆形或不规则形浅褐色斑,病斑两面均生灰黑色霉,病斑融合成大斑后枯死,严重的整叶枯死。
(5)叶鞘染病产生边缘不明显的云状斑块,与其连接叶片黄枯而死。小穗发病出现褐斑和白穗。

2、防治方法
(1)播种前,将种子晾晒2-3天,再用50%福美双(用量为种子重量的0.3%)或15%三唑酮(用量为种子重量的0.03%)做拌种处理。
(2)发病初期,喷施12.5%禾果利可湿性粉剂2500-3000倍液,或亩用10克5%井冈霉素水剂兑水40公斤,然后进行喷雾,间隔7-10天后再喷1次。
(3)小麦返青至拔节期,亩用50毫升50%强力杀菌剂兑水40公斤,然后进行喷雾,每隔7-10天喷1次,连续喷施2-3次。
(4)小麦开花初期,亩用100克25%粉锈宁可湿性粉剂(或50%多福合剂)兑水喷雾,喷施后可控制叶部病害发展。
(5)病害较严重的地块,可用72%代森锰锌霜脲氰可湿性粉剂600倍液(或58%代森锰锌甲霜灵可湿性粉剂500倍液)喷施基部,或灌施根部。喷药时应确保喷匀、喷透,使药液充分浸透茎部、根部。

八、小麦全蚀病
1、发病症状
(1)主要为害小麦地下部分根部和茎基部1-2节处。
(2)小麦抽穗后,田间病株成簇或点片状发生早枯白穗,病根变黑,易于拔起。
(3)在茎基部表面及叶鞘内布满紧密交织的黑褐色菌丝层,呈“黑脚”状,天线后颜色加深呈黑膏药状,上密布黑褐色颗粒状子囊壳。

2、防治方法
(1)用2%立克秀进行拌种,药物用量为种子重量的0.2%,拌种后防效可达到90%左右。
(2)播种后20-30天,亩用15%三唑酮(粉锈宁)可湿性粉剂150-200克兑水60升,顺垄喷洒,翌年返青期再喷1次。

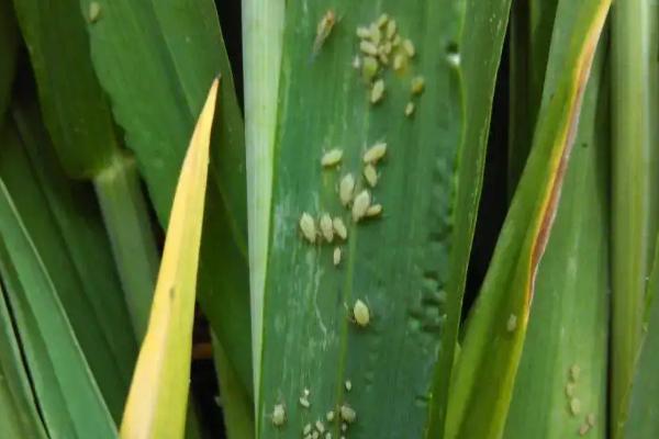
九、蚜虫
1、危害症状
(1)若虫、成虫常大量群集在叶片、茎秆、穗部吸取汁液。被害处初呈黄色小斑,后为条斑,枯萎、整株变枯,直至死亡。
(2)小麦抽穗后集中在穗部危害,形成秕粒,使千粒重降低,造成减产。

2、防治方法
(1)小麦拔节后,每隔3-5天到麦田随即抽取50-100棵植株,调查蚜虫和天敌数量,当百株蚜量超过500头,天敌与麦蚜比在1:150以上时,即需防治。
(2)防治时,喷施高效氯氟氰菊酯乳油(25克/升)2000倍液,或10%吡虫啉可湿性粉剂1000倍液。

十、小麦吸浆虫
1、危害症状
以幼虫潜伏在颖壳内吸食正在灌浆的麦粒汁液,造成秕粒、空壳。

2、防治方法
(1)拔节以后至孕穗期,亩用50-100毫升80%敌敌畏乳油兑水1-2公斤,喷施在20-25公斤细土上,拌匀制成毒土施用,边撒边耕,翻入土中。
(2)小麦抽穗至开花前,亩用80%敌敌畏150毫升兑水4公斤,稀释后喷洒在25公斤麦糠上,拌匀后隔行撒施。

十一、麦蜘蛛
1、危害症状
被害麦叶出现黄白小点,植株矮小,发育不良,生长萎缩,重者干枯死亡。

2、防治方法
喷施40%乐果乳油1000倍液,或20%哒蟠灵10001500倍液,或50%马拉硫磷2000倍液,重点喷施叶片背面,同时兼顾全株,套种作物也要一并喷到。

十二、小麦叶蜂
1、危害症状
以幼虫为害麦叶,从叶边缘向内咬食成缺刻,严重时可将麦叶全部吃光。

2、防治方法
(1)播种前深耕细耙,破坏其化蛹越冬场所,或将休眠蛹翻至土表冻死。
(2)幼虫3龄前,喷施50%辛硫磷乳油1500倍液,或40%氧化乐果乳油4000倍液,每亩地喷施50-60公斤药液。

十三、胞囊线虫
1、危害症状
(1)幼苗矮黄,根系短分叉,后期根系被寄生呈瘤状,露出白亮至暗褐色粉粒状胞囊,胞囊老熟易脱落,仅在成虫期出现。
(2)线虫为害后,病根常受次生性土壤真菌(比如立枯丝核菌)为害,致使根系腐烂。

2、防治方法
(1)选用耐病、抗病品种,改善耕作制度,与其他禾谷类隔年或3年轮作。
(2)小麦播种期用阿维菌素、噻唑膦、克线磷颗粒剂进行土壤处理。

十四、小麦金针虫
1、危害症状
(1)幼虫咬食刚播下的种子,食害胚乳使其无法发芽。
(2)若小麦已经出苗,则幼虫会为害须根、主根和茎的地下部分(主根受害部不整齐),取食有机质,使幼苗枯死。
(3)幼虫还能蛀入其他作物的块茎、块根。

2、防治方法
(1)与水稻轮作,或者在金针虫活动盛期常灌水,可抑制危害。
(2)亩用48%地蛆灵乳油200-250克兑10倍清水,喷于25-30公斤细土上,拌匀成毒土,顺垄条施,随即浅锄。
(3)小麦生长后期,亩用0.6公斤51%辛硫磷兑水61公斤,然后进行灌根。
(4)虫害发生后,使用辛硫磷、高效氯氟氰菊酯进行灌根,或摘下喷雾器的喷头,直接对着根部喷施。
三农问答